近日,南通创新区新挂一宗纯宅地,将于12月3日出让。
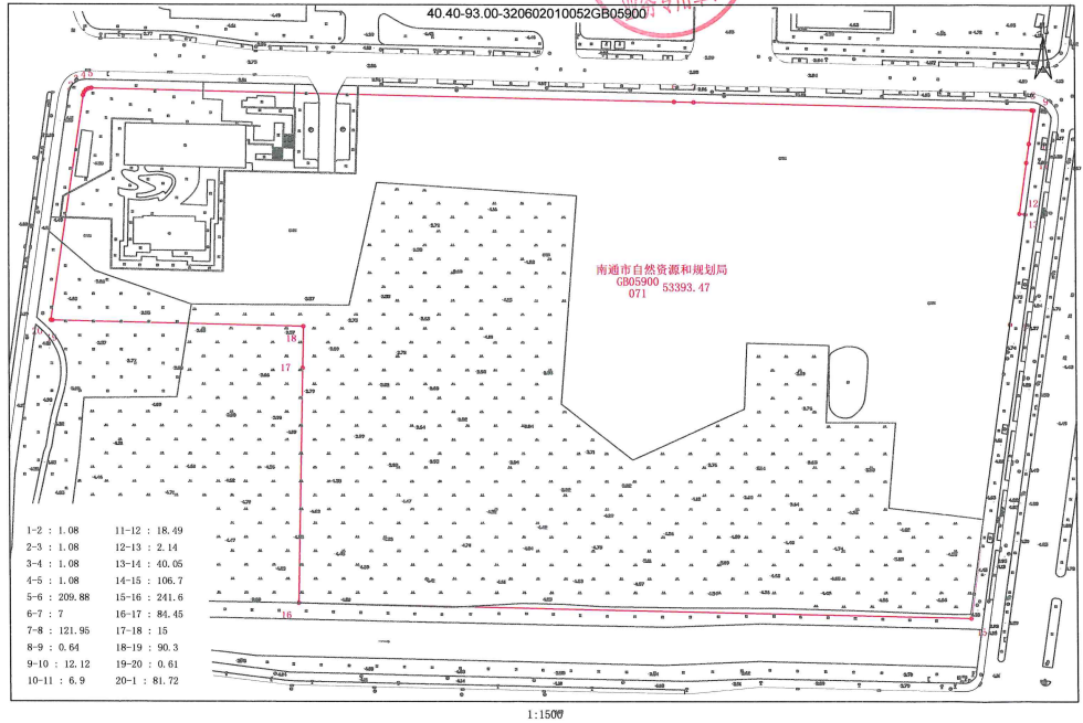
地块编号R25028,位于胜利路东、科第路南、崇州大道西、科甲路北,土地面积约53393㎡,建筑面积≤88000㎡,容积率1.01-1.65,限高60米。

该地块起拍价为99240万元,折算地价约18587元/㎡,楼面价约11277元/㎡。
根据规划,未来住宅形态为多层、小高层、高层,另须配建不小于2600㎡公共绿地、体育活动场地、不少于3个健身项目等公共配套。

就区位而言,该地块身处成熟住区环抱之中——北侧为紫琅天城,西侧为万科方圆,东侧为仁恒紫琅世纪,约1公里范围内密集分布着10个新房及次新房项目,这既印证了该地段的价值共识,也预示了未来激烈的竞争态势。

地块一路之隔即创新区“地王”R23006地块,其拿地楼面价高达18805元/㎡。相比之下,新地块楼面价下调约7500元/㎡。价差背后,除市场环境变化外,亦与两宗地块容积率差异直接相关——“地王”容积率为1.1–1.21,新地块则为1.01–1.65。
据「新知南通研究院」土拍大数据显示,2023年至今创新区出让的12宗地块中,仅2宗容积率在1.5以上。不禁让人思考,此时推出较高容积率地块是出于怎样的考量?是否预示着创新区将在别墅、洋房之外再开辟新赛道?
上文提到,2023年至今创新区先后出让了12宗地块,目前仅1宗入市销售,即和园;剩下11宗待入市地块,合计土地面积约66.69万㎡,建筑面积约93.05万㎡。
这之中,和园南侧的R24022地块,即紫园,目前处于已公开待取证状态,项目规划4栋12层四代洋房 18栋联排/双拼,仅120余套。

从时间维度看,11宗待入市地块,5宗为2023年出让,3宗为2024年出让,3宗为今年出让。2023年的5宗地块即将面临“拿地满两年未开发”,是调整指标适应市场?还是直接被收回?将成为市场关注的焦点。

最后来看新房库存——据「新知南通研究院」不完全统计,目前创新区在售新房项目共12个,今年1-10月合计备案约784套,近一年月均备案约80套。

截至10月末,板块狭义库存(已获销许未备案)约1500套,按照近一年月均流速估算,去化周期约19个月;但若将各项目未获销许部分纳入统计,板块广义库存将骤升至约3900套,对应去化周期将攀升至约49个月。
更关键的是,上述计算还未包含那11宗待入市地块所形成的潜在供应。在既有库存已然高企的背景下,未来激烈的供应竞争已经可以预见。如何在这场高供应的突围战中找到破局之道,已成为所有市场参与者无法回避的难题。